今週は見た虫貼るだけ。
なお、判らん虫。
***********************************************************
2022年7月9日追記
去年の冬に以下の論文が出て種名が
キュウシュウチビジョウカイ Malthodes kyushuensis
と判明したのでタイトル変更します。
「The Genus Malthodes (Coleoptera:Cantharidae: Malthininae) on the Four Main Japanese Islands」Japanese journal of systematic entomology 27(2):236-268.
本論文では和名が付いてなかったけれど、以下のサイトを参考にしてキュウシュウチビジョウカイの和名を用います。
和名にキュウシュウとあるが、分布は本州、四国、九州、福江島になっており、本州では三重県と奈良県で確認されている。
なので神戸にいても不思議はないようだ。
***********************************************************
4月に入ると休みに限って寒かったり雨だったり。。
コナラの葉裏に隠れていた虫を摘まんで帰った。
こんなの
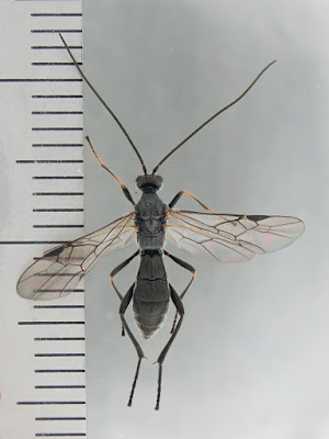
 |
キュウシュウチビジョウカイ Malthodes kyushuensis |
体長は・・・鞘翅端までで3.5㎜、後翅端までで4㎜強。
頭部と前胸の辺り
顔
矢印が小顎鬚(こあごひげ)。
小顎鬚の先端3節の長さはそれぞれ異なる、とか
小顎鬚の最終節は細長く先端は尖る、のが
チビジョウカイ亜科の特徴のようだ。
腹面
 |
キュウシュウチビジョウカイ Malthodes kyushuensis
|
腹端がへんちくりんなので♂みたい。
腹面拡大
訳わからん形してる。
腹端側面
 |
キュウシュウチビジョウカイ Malthodes kyushuensis
|
なんじゃこりゃ?
斜めから
????
カプッと上下で挟んで交尾するのだろうか?
左右で挟む蛾の交尾器を見慣れているので違和感ありまくり。
Malthodes か
Malthinus 辺りか?
ネットでさらっと検索しても、
こんなけったいな交尾器は見つからない。
「日本産チビジョウカイ亜科(コウチュウ目: ジョウカイボン科)の分類学的再検討」という論文があるみたいだが公開されてないので見られなかった。。。
ではまた