最近のお散歩は漫然と歩いているばかりなのでほとんど虫を採っていない。
ちょっと前にお散歩ネットに入った虫を貼っておきます。
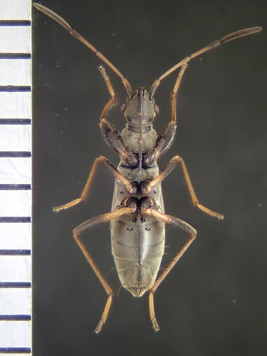
2022年9月18日神戸市
![]() |
| コバネヒョウタンナガカメムシ Togo hemipterus |
翅が腹端に届いていない。
ごくまれに長翅型が出るそうな。
ヒョウタンナガカメムシ科Rhyparochromidaeに属する。
コバネヒョウタンナガカメムシ属Togoは日本に固有の属とのこと。
そこらで普通に見られるが、そう聞くとアリガタイヨウナソウデモナイヨウナ。。
カメムシの腹部は第1節は退化?して外見上見えない。
8節以降は生殖節となる。
コバネヒョウタンナガカメムシ属は前葉の長さが後葉の2倍あることで他の属と区別ができる。
カメムシ図鑑によると、本属にはTogo praetor という神戸の個体を元にした種が記載されているらしいが、正体不明とのこと。
ではまた






0 件のコメント:
コメントを投稿